- Nación
Huracán Bud se fortalece y alcanza la categoría 4
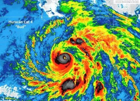
Esta madrugada el huracán ''Bud'' evolucionó a categoría 4, localizándose al suroeste de Nayarit y Jalisco, infirma el Servicio Meteorológico Nacional (SMN).
Sus bandas nubosas provocarán lluvias de intensas a torrenciales en Jalisco, Colima, Michoacán, Nayarit, Sinaloa y Durango.
Además de tormentas fuertes a puntuales muy fuertes en Zacatecas, Guanajuato, Aguascalientes y Guerrero.
Actualmente "Bud" se encuentra a 360 kilómetros al suroeste de Playa Perula, Jalisco, y 560 km al sureste de Cabo San Lucas, Baja California Sur.
''Bud'' registra vientos sostenidos de 215 kilómetros por hora y rachas de 260 kilómetros por hora, con desplazamiento hacia el noroeste a 11 kilómetros por hora.
Además, sus bandas nubosas favorecen potencial de tormentas fuertes a puntuales muy fuertes en Zacatecas, Guanajuato, Aguascalientes y Guerrero.
Mapa #trayectoria del #HuracánBud del Oceano Pacífico pic.twitter.com/0UA5QNurvO
— CONAGUA Clima (@conagua_clima) 12 de junio de 2018
También el fenómeno ocasiona rachas de viento de 60 a 80 kilómetros por hora y oleaje elevado de tres a cinco metros de altura en las costas de Michoacán, Colima y Jalisco y de dos a tres metros de altura en las costas de Nayarit y Guerrero.
Debido a estas condiciones climáticas, el Meteorológico Nacional recomendó a la población en general extremar precauciones en las zonas de los estados mencionados por lluvias, viento y oleaje (incluyendo la navegación marítima) y atender las recomendaciones emitidas por las autoridades del Sistema Nacional de Protección Civil, en cada entidad.
Con información de La Silla Rota
Destacadas
-
CNTE Veracruz se sumará a huelga nacional por reforma del ISSSTESociedadHace: 1 año 2 semanas -
Roberto Ramos Alor, nuevo titular de IMSS Bienestar en VeracruzPolíticaHace: 1 año 2 semanas -
El historial negro de Jorge Winckler, exfiscal de VeracruzEstadoHace: 3 años 10 meses -
Asesinan a hombre en parada de autobús en Lázaro CárdenasSeguridadHace: 6 años 11 meses -
Colectivo Solecito critica desatención de Winckler frente a embajadores de EUVeracruzHace: 6 años 11 meses -
Una vez más, invaden caminos del parque El Haya con automóviles de oficinistasXalapaHace: 6 años 11 meses -
Se acabó la era Pascual Lagunes, Tamsa lo despideVeracruzHace: 6 años 11 meses -
Fidel Kuri presenta a Enrique Meza como nuevo técnico de los Tiburones RojosDeportesHace: 6 años 11 meses




