- Turismo
¿Golpeará el huracán 'Michael' la Península de Yucatán?
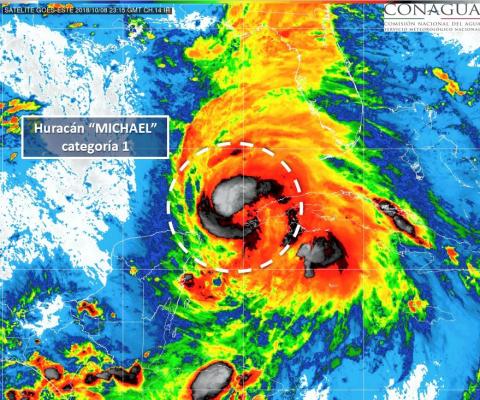
La tormenta tropical ''Michael'' se convirtió en huracán categoría 1, actualmente se ubica a 220 kilómetros al este -noreste de Cozumel, Quintana Roo.
''Michael'' tiene vientos sostenidos de 120 kilómetros por hora y rachas superiores a 150 kilómetros por hora y se desplaza hacia el norte a 11 kilómetros por hora.

La presencia de este fenómeno ocasionará tormentas intensas en Quintana Roo, muy fuertes en Campeche y Yucatán, oleaje de dos a tres metros en las costas de Yucatán y Quintana Roo, así como rachas de hasta 50 kilómetros por hora en el litoral de Campeche.
El Servicio Meteorológico Nacional mantiene zona de vigilancia desde Tulum hasta Cabo Catoche, Quintana Roo, incluida la isla de Cozumel.

[relativa1]
La Secretaría de Educación de Quintana Roo, informó que la suspensión de clases para este lunes se extiende al turno vespertino en los municipios de Puerto Morelos, Benito Juárez e Isla Mujeres.
El director de Protección Civil del Ayuntamiento de Benito Juárez, Antonio Fonseca, confirmó que en Cancún fue abierto un refugio con espacio para 400 personas en la escuela secundaria Benito Juárez ubicada en la Región 103, sin embargo, hasta el momento no ha sido utilizado por ciudadanos.
La Administración Portuario Integral de Quintana Roo (Apiqroo) notificó que debido a las condiciones climatológicas el servicio de transporte marítimo que ofrecen las diferentes navieras en las terminales de Cozumel e Isla Mujeres tendrán restricciones de horario debido al incremento del oleaje que alcanza entre dos a tres metros de altura.
Las embarcaciones de Cozumel operarán con normalidad, sin embargo, habrá restricciones para aquellas menores a 40 pies de eslora, en el caso de Isla Mujeres los transbordadores de pasajeros operarán hasta las 12 del día de manera tentativa.
[relativa2]
La Secretaría de la Defensa Nacional (Sedena) informó que personal de la 34 Zona Militar, en Chetumal, Quintana Roo, aplica el Plan-DN-III-E por la presencia del huracán ''Michael'', categoría 1.
En tanto, en el Océano Pacífico, "Sergio", también huracán categoría 1, se mantienen a 2 mil 135 km al oeste-suroeste de Cabo San Lucas, Baja California Sur, con vientos máximos sostenidos de 150 km/h, rachas de hasta 185 y trayectoria al nor-noroeste a 4 kilómetros por hora, sin tener efectos sobre territorio nacional.
[relativa3]
Alerta en Estados Unidos
De acuerdo con el Centro Nacional de Huracanes (CNH), ''Michael'' amenaza golpear el sureste de Estados Unidos.
''Michael'' atravesará el Golfo de México a lo largo del martes y se espera que alcance el noroeste de Florida el miércoles, para seguir en su avance tierra adentro en Estados Unidos entre el miércoles por la noche y el jueves.
Los meteorólogos estadounidenses esperan que ''Michael'' alance la categoría de huracán 3 o 5, la noche el martes.
Ante este panorama, el gobernador de Florida, Rick Scott, declaró estado de emergencia para 26 condados del noroeste y activó a 500 guardias nacionales.
Destacadas
-
CNTE Veracruz se sumará a huelga nacional por reforma del ISSSTESociedadHace: 10 meses 3 semanas -
Roberto Ramos Alor, nuevo titular de IMSS Bienestar en VeracruzPolíticaHace: 10 meses 3 semanas -
El historial negro de Jorge Winckler, exfiscal de VeracruzEstadoHace: 3 años 8 meses -
Asesinan a hombre en parada de autobús en Lázaro CárdenasSeguridadHace: 6 años 9 meses -
Colectivo Solecito critica desatención de Winckler frente a embajadores de EUVeracruzHace: 6 años 9 meses -
Una vez más, invaden caminos del parque El Haya con automóviles de oficinistasXalapaHace: 6 años 9 meses -
Se acabó la era Pascual Lagunes, Tamsa lo despideVeracruzHace: 6 años 9 meses -
Fidel Kuri presenta a Enrique Meza como nuevo técnico de los Tiburones RojosDeportesHace: 6 años 9 meses




